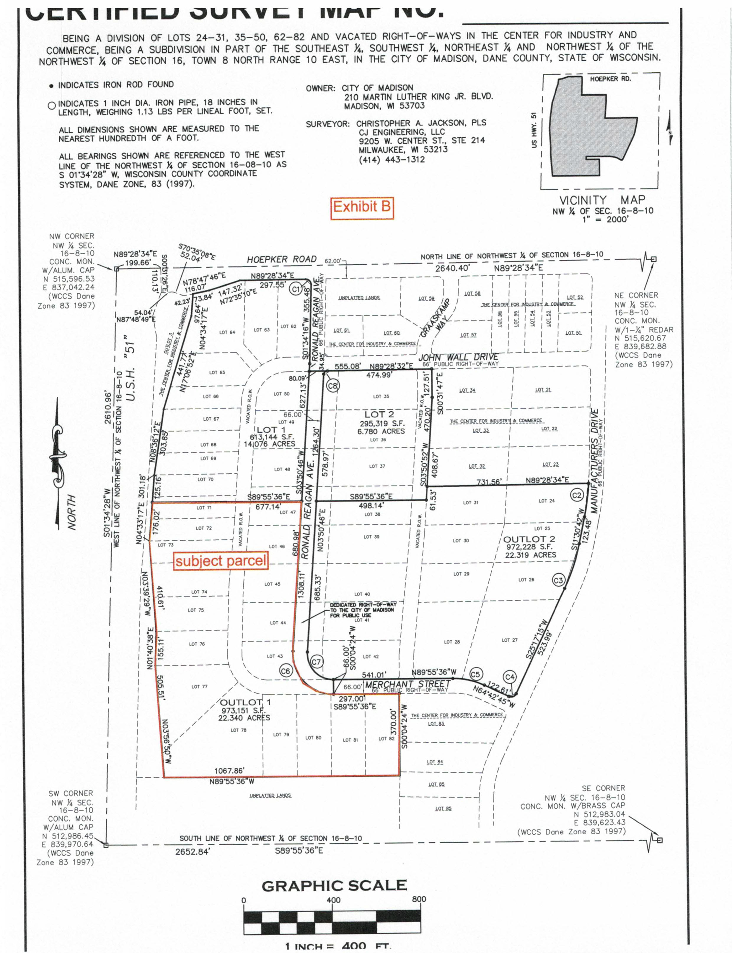
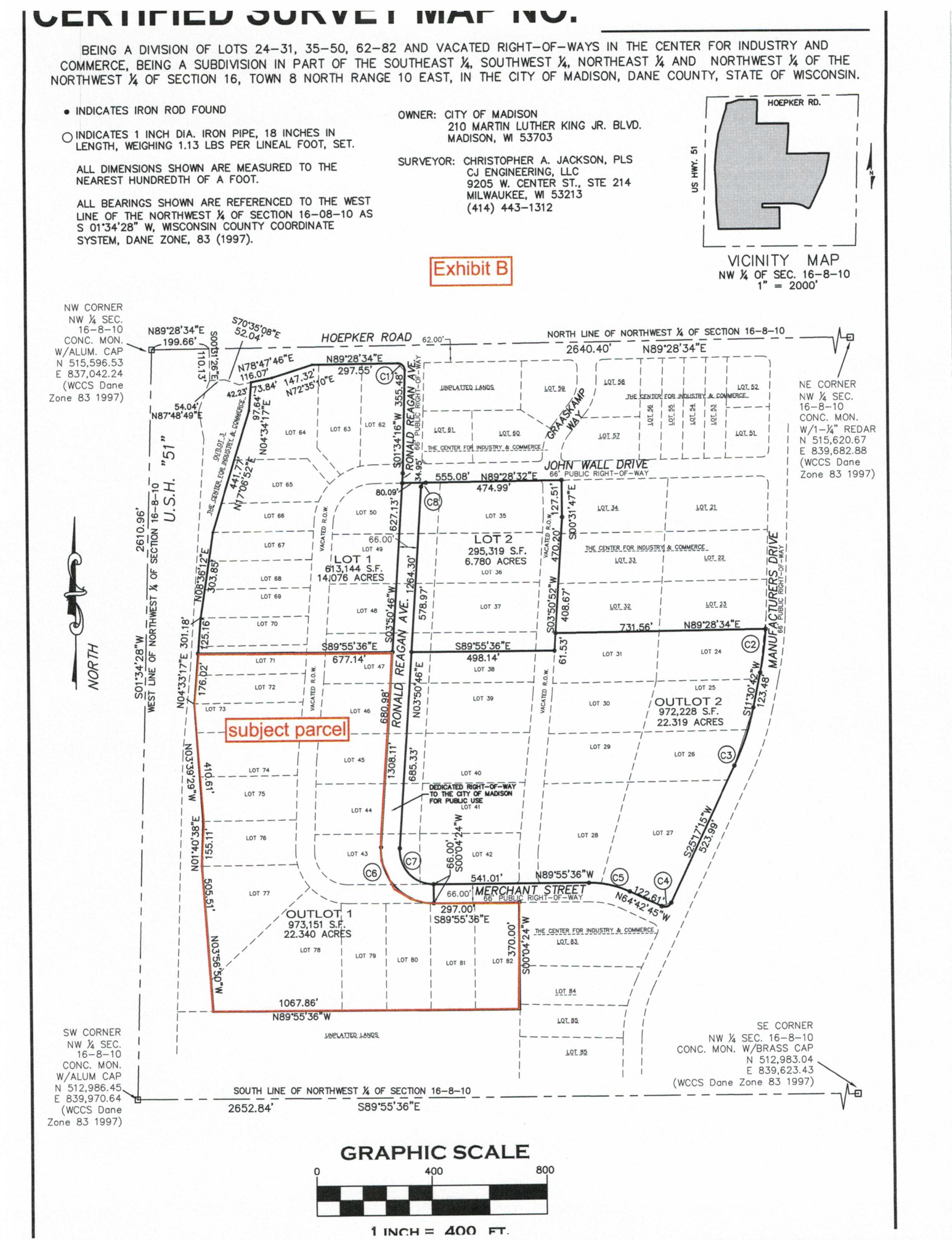
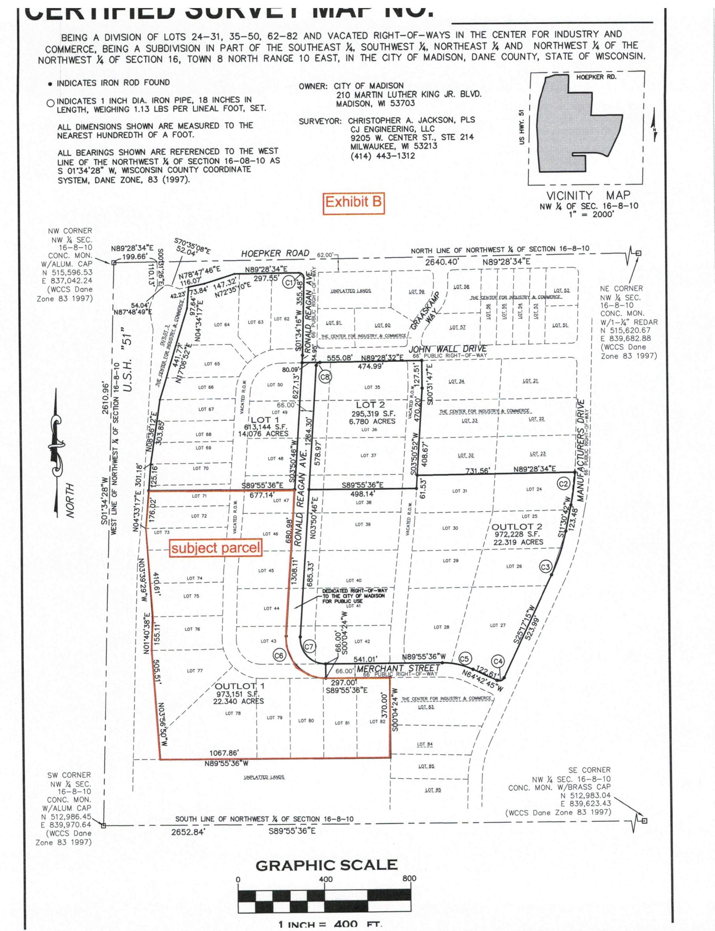
ab-fra2